CELLULES COMMERCIALES EN VEFA NEUF A VENDRE - CHAMPAGNOLE
1128 m2 divisibles à partir de 96 m2 | 2 280,76 € /m2
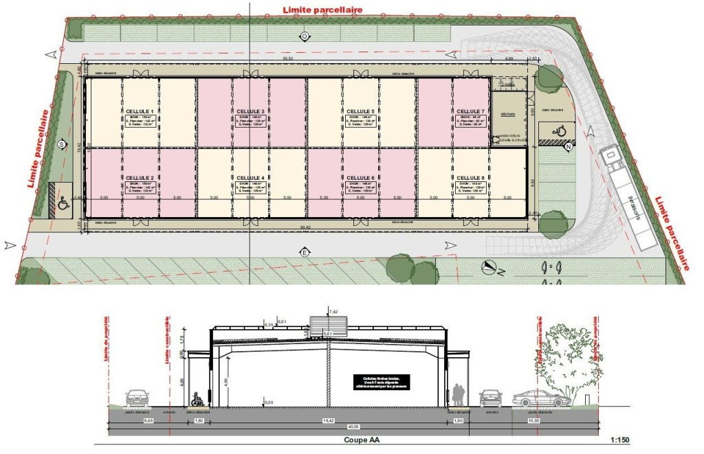
A VENDRE - CELLULES COMMERCIALES
A vendre, CHAMPAGNOLE, dans un parc d'activités commerciales, 8 cellules d'une surface totale de 1 128m², divisibles à partir de 96m² environ, livrées brutes. Bardage : teinte champagne 1733, bandeau auvent/enseignes : teinte RAL 7022 gris terre d'ombre, poteaux : Acier, teinte RAL 7022 gris terre d'ombre, ventelles local déchets : Acier, teinte RAL 7022 gris terre d'ombre, couvertines : teinte champagne 1733, Menuiseries/portes : aluminium, teinte RAL 7022 gris terre d'ombre, toitures : membrane PVC gris clair + végétalisation + bande stérile graviers, main courante en toiture : teinte RAL 7022 gris terre d'ombre
Habillage des groupes de climatisation : Ventelles acier, teinte RAL 7022 gris terre d'ombre. Très belle opportunité.
Réf : 6763
Aménagements
- surface totale : 1128 m2
- surface divisible : à partir de 96 m2
Informations financières
- prix de vente : 2 280,76 € /m2
Quelques surfaces plus en détail
Surfaces données à titre indicatif – Non contractuelles :
- Bon de visite : 150 m2
- Bon de visite : 150 m2
- Bon de visite : 146 m2
- Bon de visite : 146 m2
- Bon de visite : 146 m2
- Bon de visite : 146 m2
- Bon de visite : 98 m2
- Bon de visite : 146 m2
Voir quelques surfaces plus en détailImprimer la ficheVoir nos prestations et tarifs
L'agence
PILOTIM DEMO
PILOTIM Chalon
Rue de la Grange Frangy
71100 CHALON SUR SAONE
Tél : 06.06.10.11.12
Votre conseiller pour avoir plus d'informations
Apolline BRIERE
Tél : 06.06.10.11.12
Tél mobile : 06.06.85.70.06
Contactez-nous via ce formulaire ou appelez-nous pour visiter ce bien
Transports et commerces sur CHAMPAGNOLE (39300)
Champagnole est une ville de 8 000 habitants. On y trouve des commerces dont des supermarchés ou supérettes.
En savoir plus sur Champagnole




Nous sommes membre de la FNAIM, Fédération Nationale de l'Immobilier